物件種別
新築一戸建て
価格
9,580万円
所在地
川崎市中原区 新城5丁目
交通
南武線「武蔵新城」駅 徒歩 3 分
南武線「武蔵中原」駅 徒歩 20 分
土地面積
55.69㎡
建物面積
100.43㎡
間取り
2SLDK
前回情報更新日 2026.03.13 | 次回情報更新予定日 2026.03.27
この物件のココがオススメ!
「武蔵新城」駅徒歩3分 商店街や商業・医療施設が充実した便利なエリアに全3棟の新築一戸建が誕生です
お気軽にどうぞ!
お気に入りに追加済み
お気軽にどうぞ!
お気に入りに追加済み
この物件の月々のお支払額
ボーナス時(年2回)お支払額
年収に対する返済比率
※会員登録し、詳細情報を記入されますと、全ての物件で自動的に金額が表示され、大変便利です。
※まだ会員登録をされていない方は、下記チェック欄をご記入ください。
※上記計算は物件価格 9,580万円+諸経費 8%込みの金額による結果となります。
※返済金額はあくまでも目安です。
会員登録してローン情報を入力しておくと全ての物件に対してローンシミュレーションを表示できます。
会員未登録のお客様
会員登録をして会員情報にシミュレーション条件が未登録のお客様
マイページから会員登録なしでシミュレーションするお客様
駅
周辺環境:武蔵新城駅(駅前のスーパーやドラッグストアなどは、会社帰りの買物にもとても便利です。昔ながらの商店街も複数あり、目的に応じてお買い物ができる街です。)(180m)
小学校
周辺環境:新城小学校(学校教育目標「心も強く 体も強い子」 ~ 健康でたくましい子 よく考えて行動する子 仲良く助け合う子 ~)(750m)
中学校
周辺環境:西中原中学校(生徒数が多い中学校。1学年12クラス。公立中学校では日本で一番のマンモス校。部活動も有名で野球、バレーボール、ハンドボールが有名。)(1800m)
スーパー
周辺環境:スーパー クリシマ 新城駅前店(部門によっては各店で独自の品揃えをしております。「今日は何があるかな?」新しい発見があるかも知れません!)(190m)
公園
周辺環境:新城児童公園(270m)
周辺の街並み
周辺環境:あいもーる(商店街)(武蔵新城にはいくつか商店街があります。あいもーるは屋根のある開閉型アーケード商店街です。雨の日も安心してお買い物いただけます。)(300m)
お気軽にどうぞ!
お気に入りに追加済み
学区
新城小学校
西中原中学校
用途地域
第二種住居
地目
宅地
建ぺい率
60%
容積率
160%
駐車場
有り ビルトイン車庫
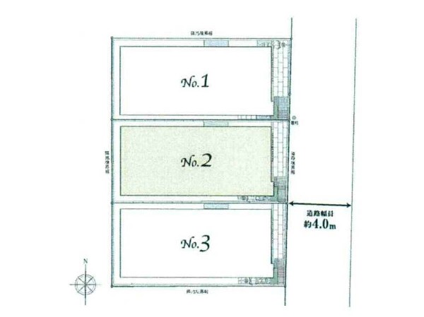
接道
東 4.0m
権利
所有権
私道面積
無し
セットバック
無し
建物構造
木造
建物階数
3階
築年月
2025/11
入居日
即時
都市計画
市街化区域
取引態様
仲介
物件番号
A1761-2
設備
都市ガス、公営水道、公共下水、防犯カメラ、防犯シャッター、宅配ロッカー、耐震構造、ビルトインガレージ、駐車場1台、区画整理地内、閑静な住宅地、平坦地、都市近郊、地盤調査済、市街地が近い、周辺交通量少なめ、スーパーが近い(10分以内)、駅まで平坦、総合病院徒歩10分以内、小学校徒歩10分以内、保育施設・幼稚園5分以内、公園5分以内、コンビニ5分以内、ウォークインクローゼット、対面キッチン、都市ガス、システムキッチン、ガス3口、対面キッチン、食器洗い機付き、浄水器、ユニットバス、追い焚き、浴室乾燥機、ウォシュレット、トイレ2ヶ所、浴室1坪以上、浴室に窓、暖房便座、浴室暖房、バルコニー、南面バルコニー、3階建以上、LDK18畳以上、全居室6畳以上、採光3面、全室2面採光、リビング階段、クローゼット、ウォークインクローゼット、収納、床下収納、下駄箱、全居室収納、洗面室収納、シャンプドレッサー付き、フラット35Sに対応、年内入居可、モニタ付きインターフォン、複層ガラス、火災警報器(報知機)、セキュリティ充実、通風良好、陽当り良好、24時間換気システム、建物10年保証
特記事項
景観法:有/宅地造成工事規制区域:有/高度地区:有/準防火地域:有/日影制限:有/高さ限度:有/間取りSは納戸 建物面積に車庫面積9.74平米を含む。
備考
「武蔵新城」駅徒歩3分 商店街や商業・医療施設が充実した便利なエリアに全3棟の新築一戸建が誕生です
お気軽にどうぞ!
お気に入りに追加済み
loading...