物件種別
新築一戸建て
価格
4,280万円
所在地
川崎市宮前区 菅生2丁目
交通
田園都市線「宮前平」駅 バス停「長沢」まで 徒歩 3 分 バス利用 15分
土地面積
71.61㎡
建物面積
118.41㎡
間取り
4LDK
前回情報更新日 2026.04.16 | 次回情報更新予定日 2026.04.30
この物件のココがオススメ!
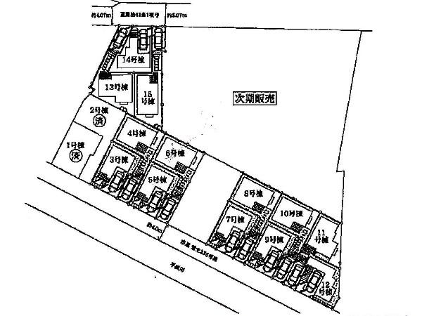
緑豊かな住宅地「宮前区菅生」全32棟の大規模分譲(今回販売13棟残り7棟)Wic等収納豊富な3階建
お気軽にどうぞ!
お気に入りに追加済み
お気軽にどうぞ!
お気に入りに追加済み
この物件の月々のお支払額
ボーナス時(年2回)お支払額
年収に対する返済比率
※会員登録し、詳細情報を記入されますと、全ての物件で自動的に金額が表示され、大変便利です。
※まだ会員登録をされていない方は、下記チェック欄をご記入ください。
※上記計算は物件価格 4,280万円+諸経費 8%込みの金額による結果となります。
※返済金額はあくまでも目安です。
会員登録してローン情報を入力しておくと全ての物件に対してローンシミュレーションを表示できます。
会員未登録のお客様
会員登録をして会員情報にシミュレーション条件が未登録のお客様
マイページから会員登録なしでシミュレーションするお客様
スーパー
周辺環境:食品館あおば初山店(「より良い品をより安く」をモットーに、地域のお客様に安心・安全をお届けすべく、地域一番店を目指しています。)(1300m)
小学校
周辺環境:菅生小学校(昭和42年に開校した、歴史ある小学校。「優しい気持ちと明るい笑顔」を大切にして、夢広がる楽しい学校の創造を目指していきます。)(850m)
公園
周辺環境:生田緑地(爽やかな風が通り、豊かな自然をそのままいかした広大な緑地。広場、プラネタリウム、バラ園など、幅広い世代が楽しめるのも魅力です。)(1700m)
中学校
周辺環境:菅生中学校(小学校よりもより長い時間を過ごす中学校。ここで過ごす時間はお子様にとって大切な思い出となるはずです。)(650m)
病院
周辺環境:聖マリアンナ医科大学病院(診療部門も多く救急外来も受付しているので、ご家族の「いざ」と言う時にも安心です。)(400m)
お気軽にどうぞ!
お気に入りに追加済み
学区
菅生小学校
菅生中学校
用途地域
第二種中高層住居専用
地目
宅地
建ぺい率
60%
容積率
160%
駐車場
有り ビルトイン車庫
接道
南西 4.0m
権利
所有権
私道面積
無し
セットバック
無し
建物構造
木造
建物階数
3階
築年月
2026/03
入居日
即時
建築確認番号
第KS125-3820-50257号
都市計画
市街化区域
取引態様
仲介
物件番号
A2304-7
設備
都市ガス、公営水道、公共下水、ビルトインガレージ、駐車場1台、緑豊かな住宅地、閑静な住宅地、都市近郊、開発分譲地内、地盤調査済、市街地が近い、総合病院徒歩10分以内、中学校徒歩10分以内、コンビニ5分以内、ウォークインクローゼット、対面キッチン、パントリー、都市ガス、システムキッチン、ガス3口、対面キッチン、浄水器、パントリー(食器・食品の収納庫)、ユニットバス、追い焚き、浴室乾燥機、ウォシュレット、トイレ2ヶ所、浴室に窓、暖房便座、バルコニー、バルコニー2面、3階建以上、LDK15畳以上、採光3面、全室2面採光、フローリング、クローゼット、ウォークインクローゼット、収納、床下収納、下駄箱、全居室収納、シャンプドレッサー付き、庭、年内入居可、モニタ付きインターフォン、複層ガラス、火災警報器(報知機)、通風良好、24時間換気システム、建物10年保証
特記事項
景観法:有/宅地造成工事規制区域:有/高度地区:有/準防火地域:有/日影制限:有/高さ限度:有/生産緑地地区 建物面積に車庫面積13.88m2含む ゴミ協定書A、B、C、設備共用管に関する協定書A、B、C有。
備考
緑豊かな住宅地「宮前区菅生」全32棟の大規模分譲(今回販売13棟残り7棟)Wic等収納豊富な3階建
お気軽にどうぞ!
お気に入りに追加済み
loading...